| 価格 |
881.6665万円 | 交通 | 中央線 「土岐市」駅 徒歩93分 バス22分 妻木上郷下車 徒歩6分 |
|---|---|---|---|
| 土地面積/坪数 | 247.00㎡ / 74.71坪 | 所在地 | 岐阜県土岐市妻木町 |
| 建ぺい率 | 60% | 容積率 | 200% |
| 価格 |
881.6665万円 | 交通 | 中央線 「土岐市」駅 徒歩93分 バス22分 妻木上郷下車 徒歩6分 |
|---|---|---|---|
| 土地面積/坪数 | 247.00㎡ / 74.71坪 | 所在地 | 岐阜県土岐市妻木町 |
| 建ぺい率 | 60% | 容積率 | 200% |
「利回り」は、当該不動産の1年間の予定賃料収入の不動産取得対価に対する割合であり、公租公課その他当該物件を維持するために必要な費用の控除前のものです。
また、予定賃料収入が確実に得られる事を保証するものではありません。

【妻木小学校近くの新区画整理地。ゆとりの住環境で理想のマイホームを。】
・建築条件なし
・県道沿い
・東海環状自動車道「土岐南多治見IC」まで車で9分
※地図上の物件位置は近隣に物件が所在することを表すものであり、実際の物件所在地とは異なる場合がございます。
| 所在地 | 岐阜県土岐市妻木町 | ||
|---|---|---|---|
| 交通 | 中央線 「土岐市」駅 徒歩93分 バス22分 妻木上郷下車 徒歩6分 | ||
| 価格 | 881.6665万円 | 坪単価 | 11.8万円 |
| 土地面積 | 247.00㎡ | 建築条件 | 無 |
| 土地権利 | 所有権 | 建ぺい率/容積率 | 60%/ 200% |
| 私道負担面積 | セットバック | ||
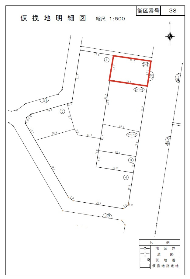
| 接道状況 | 一方 (東側 公道16.0m 間口12.7m) | ||
| 地目 | 宅地 | 地勢 | |
| 土地の権利形態 | 開発面積 | ||
| 都市計画 | 非線引区域 | 用途地域 | 第二種住居地域 |
| その他法令上の制限 | 盛土規制法、景観法、農地転用要 | ||
| 国土法届出 | 不要 | 取引態様 | 一般媒介 |
| 現況 | 更地 | 引渡し | 相談 |
| 設備条件 | 公共下水 / 公営水道 / プロパンガス | ||
| その他条件 | |||
| 備考 |
・【従前地】 所在地:土岐市妻木町字岩呉481、土岐市妻木町字清水512 地目:田(※農地転用必要) ・建設時、土地区画整理法第76条申請要 ・換地処分後に本登記 ・上水道分担金、下水道受益者負担金納付、上水道引込工事の必要あり |
||
| 周辺の学校 | 妻木小学校(約1,129m / 徒歩15分)、西陵中学校(約2,384m / 徒歩30分) | ||
| 物件番号 | 103085185 | ||
| 情報公開日 | 2026年4月16日 | 次回更新予定日 | 2026年4月30日 |
| 取引条件の有効期限 | 2026年4月30日 | ||
| 取扱い会社 |
マルイ不動産株式会社 〒507-0035 岐阜県多治見市栄町1丁目54-1コアラビル 岐阜県知事(6)第3877号 公益社団法人 岐阜県宅地建物取引業協会会員 東海不動産公正取引協議会加盟 公益財団法人 日本賃貸住宅管理協会 |
||
| 所在地 | 物件の住所を表示。(詳細住所は表示していない場合もある) | ||
|---|---|---|---|
| 交通 | 物件(部屋)の沿線駅・バス停を表示。(複数駅・バス停の利用が可能な場合は最大3件まで) | ||
| 間取り/詳細 | 数字は居室数を表示。LDKはそれぞれ「リビング」「ダイニング」「キッチン」、S(納戸)とは「納戸」「サービスルーム」「マルチルーム」「フリールーム」など建築基準法第28条に適合していないため、居室と認められない納戸その他の部分を表す。 | ||
| 価格 | 販売されている住戸の価格を表示。仲介手数料は含まない。 | ||
| 管理費 | 共同住宅の設備その他共用部分の維持および管理をするために必要な費用を表示。 | ||
| 修繕積立金 | 共用部分の修繕のために積立てる金額を表示。 | ||

売地
| 価格 | 640 万円 | ||
|---|---|---|---|
| 土地面積 | 261.36㎡ | 建築条件 | 無 |
| 土地坪数 | 79.06坪 | 坪単価 | 8.1万円 |
| 建ぺい率 | 50% | 容積率 | 80% |
| 住所 | 岐阜県土岐市泉が丘町6丁目 | ||
| 交通 |
中央線「土岐市」駅 徒歩29分
|
||
【外観】